Growing veg: Broad beans
The easiest and hardiest of garden beans, broad beans or fava beans can be sown in autumn or spring. Old hands at gardening will prefer autumn sowings because the plants will crop earlier in spring, though there are other problems. But the reasoning is that these early sowings will bloom and crop before the incidence of that nemesis of the broad bean – blackfly. And if you want to sow in autumn the preferred cultivar is ‘Aqualdulce Claudia’, a Spanish kind that is supposed to be extra hardy. Even so, leaving these small plants in your soil over winter is a huge risk, leaving them vulnerable to cold, winter wet, pigeons and rodents. I prefer to sow in spring – though I have not yet tried an autumn sowing under plastic. It all depends on how much you like broad beans.
As a child I hated the things, primarily because we grew them and left the pods till they started to speckle with brown and the beans inside were huge and each had a skin as tough as plastic. I know that chefs skin the individual beans but at home there is not time for such affectations. When picked young they can be eaten with the skins on. Some cultivars are also sold with the specific suggestion that the pods are eaten whole, when young. Having shelled more than my share of broad beans, and enjoyed the sensory pleasure of the furry inside of the pods, I have not really fancied eating the pods. Maybe I am missing a treat. As it is, although broad beans are often considered a rather coarse vegetable, there is nothing nicer than eating the first cop of the season, with extra-early new potatoes, smothered in parsley sauce beside a piece of gammon. If you have time to remove the skins then do so. I admit they are nicer this way and it may be a way to get children to eat them.
If you have not sown your broad beans in autumn you can sow from late February till April. They do not like (or need) summer warmth. You can sow direct or sow in cell trays or pots, which is what I tend to do. I sow the seeds, on their edge, about 1cm deep in the pots. Outside, sow four times that depth – because when I plant them out from their cells, I will plant them deeper.
If you need to, they can be grown in containers of multipurpose compost. You won’t get a huge crop – these are large, bulky plants – but they are just about worthwhile in a pot and the plants are not unattractive.
There are lots of cultivars and the dwarf kinds are useful. The seeds tend to be either green or white (pale green) in the pods and I prefer the green. Generally the green-seeded have a milder flavour than the white. And then there are heritage, red-seeded kinds. Most have attractive, white or white and black flowers that are sweetly scented and attract pollinators, which is just as well since they are needed to pollinate the flowers to get pods. A few, old kinds have red flowers.
Like all beans, these will have nitrogen-fixing bacteria in the nodules in the roots so actually add nitrogen to the soil. So after harvesting, which should be by late July, pull them up and sow a crop that needs lots of nitrogen, such as spinach, Oriental greens or spring cabbage.
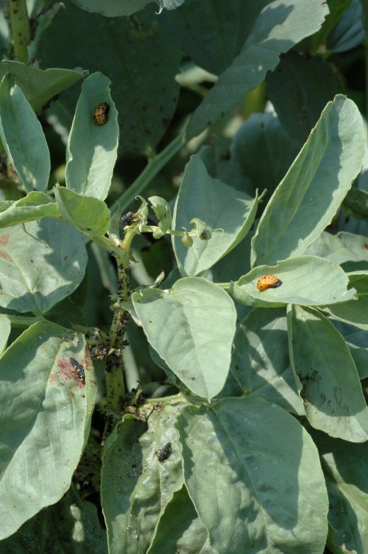
The elephant in the room is blackfly. It is normal practice to pinch out the tops of the plants just above the upper flowers as soon as you can tell where that is because it will restrict blackfly infestations. These ‘tops’ can be steamed or boiled and make an acceptable ‘greens’. But, if, by then, the blackfly have moved in en masse, I don’t tend to fancy them and just compost them. If blackfly really take hold they will suck the life out of the developing pods and ruin the crop. But this is not inevitable and ladybirds often move in and balance things out – as above where you can see ladybird pupae on the leaf – proof that the youngsters have cleaned up the pests. Pea and bean weevil may take lumps out of the sides of the leaves, especially when plants are young (see pic of red-flowered beans above). Early sowings, that are growing slowly, may be badly affected but later sowings, which grow faster, often get away from the damage.
Top tips
Sow in cells
You can sow in cells and germinate the seeds indoors. But plant them out when they are 10cm high – they will tolerate a little frost. Do not let them get tall and straggly on the windowsill – these will never do well.
Give them space
If planting or sowing direct, place them 15cm apart with about 45cm between rows. It is traditional to sow in a double, staggered row about 20cm wide. Mature plants can be tall and often fall over. It is easier to support a double row, pushing in canes periodically on both sides and running twine up both sides.
Pinch out the tops
To prevent blackfly
Pick them young
Fresh and young they are delicious, but old beans are hard and less of a treat. They freeze well so you can easily use a glut rather than try to eat them all fresh when the last are like bullets.



We missed an autumn planting this year because we had no seed to hand and we not going out to shops. We got some, online, since and are ready to sow as soon as this cold snap clears away. We have always removed the skins from the beans, being of a delicate nature, and like them very much as a vegetable.
I feel terribly lazy, or an uncouth ruffian, now for not taking the skins off my beans! I would say that I need to get out more and become more cultured but I can’t! Can’t get out more I mean – I am sure I could become more cultured, given half the chance!
Broad beans with parma ham on risotto!
Now that is sophisticated!
LOL Did I not make a suggestion for best wine to go with it?
We made some rosehip wine in the autumn so we will have to do with that when it is ready!
Beans, rashers and rice!
Ha! I never grew these, but got a few from a friend who grew them as a cover crop. I do not know much about them, but suspect that they were a type that was grown specifically for cover crop, because they made so much foliage, but just a few beans. Besides the beans, the foliage was pretty and ‘fluffy’.
Yes, field beans are closely related and grown here for animal feed and to improve soil.
I absolutely love broad beans, never had them without the skin though! Never tried the pod either, can’t seem to fancy that. We have just done a sowing in pots, in a cold frame, in the tunnel, more to protect from mice than the cold. Fingers crossed! 🤞🏻🤞🏻🤞🏻
Yes mine are just sown too. Like you I don’t fancy the pods.